Elm Avenue Closure

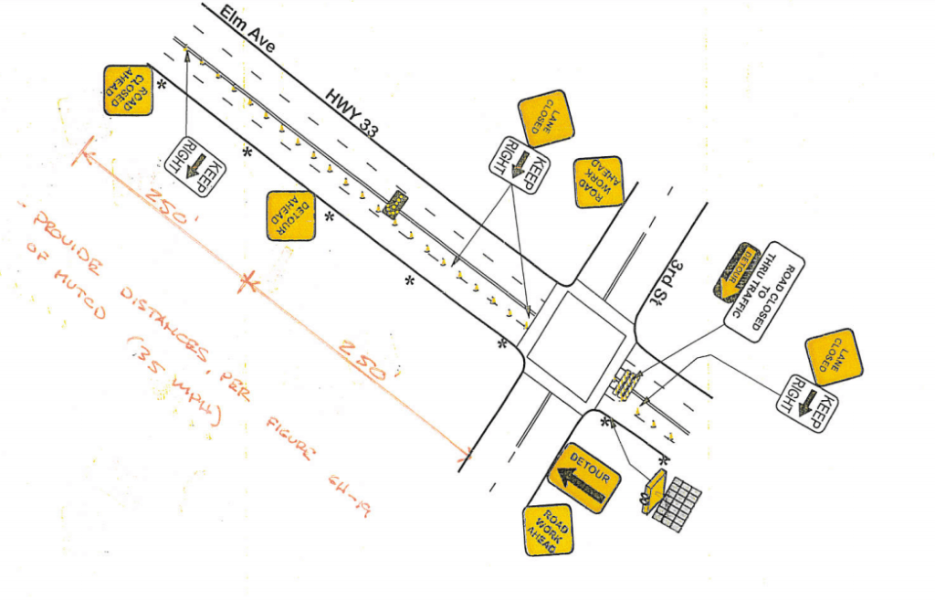
“Elm Ave Temporary Road Closure as Part of Forest Ave Reconstruction Project” Beginning on February 24, 2020 and ending on March 6, 2020, Elm Ave will be closed north and southbound between Truman/Forest and Grant Street in order to allow for the installation of new sewer and storm drainage facilities and new pedestrian crosswalk across the State Highway.


Detours will be set up by the contractors at 3rd Street and traffic will be diverted to Forest Ave. All businesses will remain open and accessible to the public during the closure.


We appreciate the community’s patience and understanding during this time in order to complete these necessary improvements to enhance pedestrian safety, alleviate flooding and replace aging infrastructure in this area.


If you have any questions, please do not hesitate to contact Public Works at 559‐935‐1533.
Thank you,
Sean Brewer, Assistant City Manager